Fara í efni
Íbúar
Menntun og skólar
Ungbarnaleikskóli
Nýtt fyrirkomulag
Leikskóli
Nýtt fyrirkomulag
Grunnskóli
Mýrarhúsaskóli
Valhúsaskóli
Frístundamiðstöð
Skjól og Frístund
Selið félagsmiðstöð
Dagforeldrar
Tónlistarskóli
Skólaskrifstofa
Sumarskóli
Sumarnámskeið
Vinnuskólinn
Félagsþjónusta
Barnavernd
Eldri borgarar
Fatlað fólk
Fjárhagsaðstoð
Félagsleg ráðgjöf
Húsnæðismál
Umhverfi og skipulag
Bílastæðasjóður
Byggingamál
Eignasjóður
Fasteignagjöld
Lóðir
Sjóvarnir
Smábátahöfn
Skipulagsmál
Aðalskipulag
Deiliskipulag
Skipulag í kynningu
Umhverfismál
Samgöngur
Veitur
Íþróttir og tómstundir
Hreyfing 60+
Íþróttastarf
Opin leiksvæði
Sundlaug
Tómstundastyrkir
Þjónusta
Bæjarskrifstofur Seltjarnarness
Neyðarsími hjá Veitum bæjarins
Umsóknir og eyðublöð
SMS tilkynningar
Vefur Seltjarnarnesbæjar
Íbúaverkefni
Heilsueflandi samfélag
Þjónustumiðstöð
Sorphirða
Nýtt flokkunarkerfi 2023
Mokstur og söltun
Götulýsing
Jólaljósin
Mannlíf & náttúra
Náttúra og dýralíf
Áhugaverðir staðir
Dýralíf / fuglar
Gróðurfar / plöntur
Grótta
Albertsbúð
Flóðatöflur
Fræðasetur
Vitavarðarhúsið
Kort af Seltjarnarnesi
Hreyfing og útivist
Golf og golfvöllur
Hreyfing 60+
Hjólastígar / göngustígar
Íþróttastarf
Opin leiksvæði
Opin svæði
Sundlaug
Út um allt - útivist
Menningararfur
Fornminjar
Rafræn Seltirningabók
Saga
Menning
Bókasafn
Félagsheimili
Listaverk bæjarins
Ásmundur Sveinsson - Trúarbrögðin
Sigurjón Ólafsson - Skyggnst bak við tunglið.
Magnús Tómasson - Amlóði
Steinunn Þórarinsdóttir - Skuggar
Hallsteinn Sigurðsson - Maður og kona
Guðmundur Benediktsson - Ölduspil
Ólöf Nordal - Bollasteinn
Lyfjafræðisafnið
Menningarstarf
Menningarhátíð
Nesstofa
Urtagarður
Félagsstarf
Félagsstarf eldri bæjarbúa
Félagsstarf ungmenna
Seltjarnarneskirkja
Verðlaun og viðurkenningar
Bæjarlistamaður
Litaveita
Félagsmálaviðurkenning (íþr./æskulýðsstarf)
Íþróttamaður ársins
Viðburðir
Skrá viðburð
Stjórnsýsla
Bæjarstjórn
Bæjarstjóri
Bæjarstjórn
Bæjarstjórnarfundir
Skipurit
Stjórnsýslan
Nefndir og ráð
Erindisbréf
Stefnur
Reglur og samþykktir
Lögreglumál
Lögreglusamþykkt fyrir Seltjarnarneskaupstað
Samþykkt um bílastæðasjóð Seltjarnarnesbæjar
Samþykkt um hundahald í Seltjarnarneskaupstað
Samþykkt um kattahald á Seltjarnarnesi
Samþykkt um hænsnahald í Seltjarnarnesbæ
Félagsmál
Reglur um félagslega heimaþjónustu hjá Seltjarnarnesbæ
Reglur um fjárhagsaðstoð hjá Seltjarnarnesbæ
Reglur um könnun og meðferð einstakra barnaverndarmála eða málaflokka
Reglur Seltjarnarnesbæjar um stuðning við börn og fjölskyldur þeirra
Reglur um liðveislu
Reglur Seltjarnarnesbæjar um sérstakan húsnæðisstuðning
Reglur Seltjarnarnesbæjar um veitingu fjárstyrks til greiðslu lögmannsaðstoðar samkvæmt barnaverndarlögum
Reglur um úthlutun félagslegra leiguíbúða Seltjarnarnesbæjar
Reglur um þátttöku Seltjarnarnesbæjar í kostnaði aldraðra við sjúkraþjálfun
Reglur fyrir ferðaþjónustu fatlaðra á Seltjarnarnesi
Reglur um styrki til náms, verkfæra- og tækjakaupa fatlaðs fólks með langvarandi stuðningsþarfir
Fræðslu- og skólamál
Reglur Seltjarnarnesbæjar um tónlistarnám í öðrum sveitarfélögum
Reglur um greiðslur til dagforeldra vegna daggæslu barna í heimahúsi
Reglur um greiðslur til forráðamanna vegna daggæslu barna í heimahúsi
Reglur og samþykktir fyrir niðurgreiðslur á þjónustu dagforeldra og afslætti af gjaldskrám
Innritunarreglur í leikskóla Seltjarnarness
Menningarmál
Úhlutunarreglur menningarnefndar Seltjarnarnesbæjar vegna styrkja til lista- og menningarmála
Reglur um tilnefningu bæjarlistamanns Seltjarnarness
Stjórnsýsla
Innkaupareglur Seltjarnarnesbæjar
Samþykkt um stjórn Seltjarnarnesbæjar nr. 831/2013.
Siðareglur kjörinna fulltrúa hjá Seltjarnarnesskaupstað
Reglur um notkun á tölvubúnaði, tölvupósti, Interneti og rafrænni vöktun
Reglur um trúnað í tölvupóstsamskiptum
Reglur Seltjarnarnesbæjar um rafræna vöktun öryggismyndavéla
Starfsmannamál
Reglur Seltjarnarnesbæjar um fjarvistir og starfsendurhæfingu vegna veikinda eða slysa
Reglur um styrki/afslátt á vinnuskyldu til starfsmanna Seltjarnarnesbæjar
Starfsmannastefna Seltjarnarnesbæjar
Umhverfis- og skipulagsmál
Samþykkt um umgengni og þrifnað utan húss á Seltjarnarnesi
Samþykkt um sorphirðu og hreinsun opinna svæða á Seltjarnarnesi nr. 95/1999
Samþykkt um fráveitu í Seltjarnarnesbæ
Samþykkt um gatnagerðargjald á deiliskipulögðum svæðum í Seltjarnarnesbæ
Veitustofnun
Reglugerð fyrir Veitustofnun Seltjarnarness
Æskulýðs- og íþróttamál
Reglur og skilyrði um greiðslur tómstundastyrkja Seltjarnarnesbæjar
Reglur um kjör íþróttamanns Seltjarnarness
Reglur Æskulýðs- og íþróttaráðs Seltjarnarness á vali einstaklings sem skarað hefur fram úr í félagsstörfum á Seltjarnarnesi
Reglur Æskulýðs- og íþróttaráðs fyrir úthlutun almennra styrkja sem falla undir íþrótta-, tómstunda- og æskulýðsstarfsemi
Reglur Æskulýðs- og íþróttaráðs Seltjarnarness fyrir úthlutun afreksmannastyrkja
Reglur Æskulýðs- og íþróttaráðs Seltjarnarness fyrir úthlutun ferðastyrkja vegna keppnisferða einstaklinga til útlanda
Reglur Æskulýðs- og íþróttaráðs Seltjarnarness fyrir úthlutun ferðastyrkja til einstaklinga innan landsliða ÍSÍ vegna æfinga- og keppnisferða til útlanda
Reglur Æskulýðs- og íþróttaráðs fyrir úthlutun ferðastyrkja vegna ferða íþróttahópa til útlanda
Reglur Æskulýðs- og íþróttaráðs Seltjarnarness fyrir úthlutun þjálfarastyrkja
Reglur vegna fasteignaskatt
Reglur um lækkun og niðurfellingu fasteignaskatts tekjulágra elli- og örorkulífeyrisþega
Lagasafn Alþingis
Reglugerðarsafn Alþingis
Skýrslur og útgefið efni
Fundargerðir
Dagskrá bæjarstjórnar
Fjármál
Ársreikningar
Ársskýrslur
Fjárhagsáætlarnir
Gjaldskrár
Reiknivél leikskólagjalda
Seltjarnarnesbær
Fjármálasvið
Fjölskyldusvið
Skipulags- og umhverfissvið
Þjónustu- og samskiptasvið
Opnunar- og símatímar
Atvinna og mannauður
Laus störf
Sumarstörf 18+
Vinnuskólinn 14-17 ára
Senda ábendingu
Fyrir fjölmiðla
Merki Seltjarnarnesbæjar
Mynd af bæjarstjóra
Mínar síður
595 9100
Opið í dag kl. 09-15
Opnunartímar
Stofnanir
Bókasafn
Félagsstarf aldraðra
Frístundamiðstöð
Leikskóli
Mýrarhúsaskóli
Sundlaug
Tónlistarskóli
Ungbarnaleikskóli
Valhúsaskóli
Starfsfólk
ENG
Leita á vef Seltjarnarnesbæjar
Seltjarnarnesbær
/
Íbúar
/
Fréttir
/
Uppsetning rafhleðslustöðva
Uppsetning rafhleðslustöðva
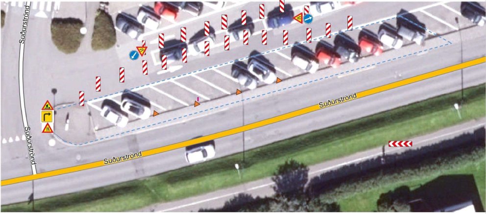
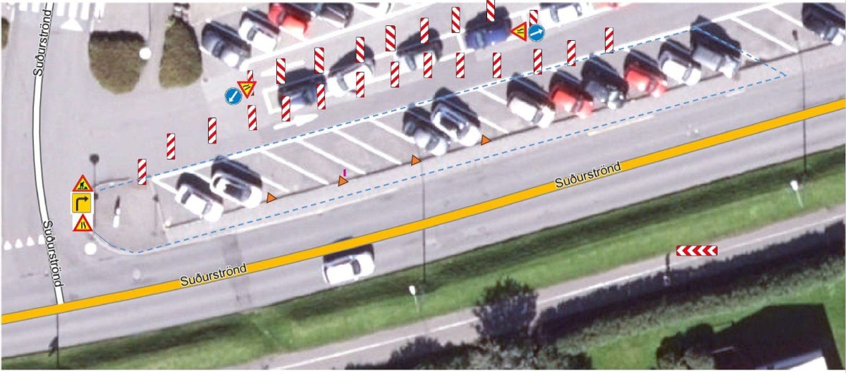
Tímabundin skerðing á aðgengi að bílastæðum við Sundlaug Seltjarnarness á en unnið er að uppsetningu rafhleðslustöðva á vegum ON. Gert er ráð fyrir því að verkinu ljúki á u.þ.b. 2 vikum.
Til baka í yfirlit
Loka
Var efnið á síðunni hjálplegt?
Já
Nei
Ástæða
Efnið svarar ekki spurningunni
Síðan inniheldur rangar upplýsingar
Það er of mikið efni á síðunni
Ég skil ekki efnið, finnst það of flókið
Eitthvað annað sem þú vilt koma á framfæri?
Hætta við
Senda álit
Takk fyrir! Ábending þín er móttekin
Venjulegt útlit
Breyta stillingum